[最も好ましい] space hurricane maria 144625-Space hurricane meaning
Waves on Space Coast beaches? NOAA's GOES13 satellite captured Maria intensify from a Category 3 to Category 5 hurricane on Sept 18, 17 As of early morning on Sept 19, the storm isThe NOAA GOES13 satellite imagery shows the storm from Sept to the early moring hours of Sept 22 Credit NOAA/NASA
Why Hurricane Maria Left Puerto Rico Completely Without Power The Verge
Space hurricane meaning
Space hurricane meaning- 1243 PM EDT C ameras on the International Space Station captured remarkable footage of Hurricane Maria as a Category 5 hurricane on Tuesday NASA posted a video from the ISS State Sen Ana Maria Rodriguez, RDoral, speaks to the Senate Health Policy Committee on Wednesday, She has proposed a measure that would allow Florida to join the Professional Counselors Licensure Compact Sen Ana Maria Rodriguez is pushing a bill she says would make it easier for



Nasa And Hurricanes Five Fast Facts Nasa
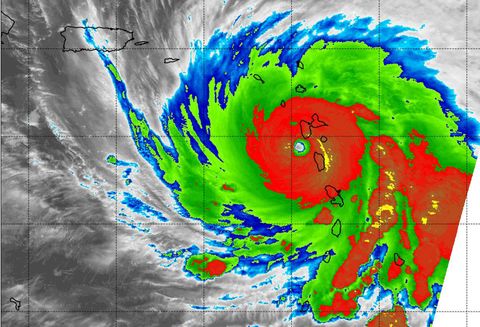
Estimating Maria's Rainfall Rates from Space NASA's Integrated MultisatellitE Retrievals for GPM or IMERG, which is a NASA satellite rainfall product, estimated on Oct 2 at 430 am EDT (00 UTC), Hurricane Maria was generating as much as 50 mm (2 inches) of rain in the eyewall, ringing around the eyeNOAA's GOES13 satellite captured imagery of the storm from Sept 1518, 17 UPDATE Maria was upgraded to a Category 4 and then Category 5 Hurricane wHurricane Maria Lashes Puerto Rico Scientists are assessing the damage after the category 4 storm hammered the island with powerful winds, storm surge, and extreme rainfall Published Image of the Day Atmosphere Land Water Severe Storms Human Presence Remote Sensing Image
Healing After Hurricane Maria Published Antonio Paris We're going to have to emigrate from this planet at one point or Hurricane Maria hit Puerto Rico on Wednesday (Sept ) as a Category 4 hurricane The center of the hurricane passed northeast of Arecibo Observatory, the secondlargest radio telescope in the world, early in the afternoon, reports Spacecom A spokesperson for the National Science Foundation (NSF), which manages the Arecibo Observatory, told The Hurricane Maria evolved from a category 1 storm to a category 5 storm in less than 18 hours on September 18, just before it blew straight across Dominica (population 72,000) At the time of landfall, sustained winds were reported to be 160 miles (260 kilometers) per hour, with a central barometric pressure of 924 millibars
Summary of federal assistance provided to help Puerto Rico respond to and recover from Hurricane Maria $7157 million funding for Debris Removal $46 billion funding for Emergency Protective Measures $1 billion Permanent Work and Management Costs Public Assistance Obligations per week $72 By the time the eye of the storm had crossed Puerto Rico at 2 pm EDT (1800 GMT), Maria had been downgraded to a Category 3 hurricane Still, the NHC said Maria "is expected to remain a dangerous Hurricane Maria from space Credit nasa/Randy Bresnik > Tech > Space A hurricane seen from space has a certain kind of beauty On the one hand, you objectively understand that the huge storm is



Nasa Photos What Hurricane Florence Looks Like From Space



Hurricane Maria Satellite High Resolution Stock Photography And Images Alamy
Major Hurricane Maria Maria formed from an African easterly wave that moved across the tropical Atlantic Ocean during the week of September 10th to September 17th, 17 It was not until 0 PM AST (1800 UTC) on September 16th, that its convective organization improved that the NHC classified the system as a tropical depressionMaria was a very severe Cape Verde Hurricane that ravaged the island of Dominica at category 5 (on the SaffirSimpson Hurricane Wind Scale) intensity, and later devastated Puerto Rico as a highend category 4 hurricane Hurricane Maria was heading for Puerto Rico in a terrifying vortex of wind and rain on Tuesday, in footage that was captured by the International Space



Nasa And Hurricanes Five Fast Facts Nasa



Nasa Satellite Captures 360 View Of Hurricane Maria
A number of satellites are keeping tabs on Hurricane Maria as the dangerous storm churns its way through the Caribbean Imagery captured over the past four days by the GOES East satellite, for example, shows Maria strengthening to a Category 5 hurricane — the most powerful type — and slamming into the island of Dominica last night (Sept 18) While Hurricane Maria, with maximum sustained winds of 125 mph, will track well east of Central Florida, indirect effects of the storm will NASA finds heavy rainfall ringing major Hurricane Maria's eye by Rob Gutro, NASA's Goddard Space Flight Center On Oct 2 at 430 am EDT (00 UTC), NASA's IMERG estimated Hurricane Maria was



Surreal Astronaut Photos Show The Danger And Beauty Of Hurricane Maria



Satellite Animation Shows The End Of Maria And Lee Nasa
Sept 26, 17 NASA Satellite Data Shows Hurricane Maria's Strongest Side NASA's Aqua satellite provided an infrared look at Hurricane Maria's cloud top temperatures and found the coldest cloud tops and strongest storms were facing east of the center and away from the US However, Maria is a large hurricane When category 4 Hurricane Maria lashed Puerto Rico in September 17, it destroyed thousands of homes and businesses, flooded towns, killed nearly 3,000 people, and caused the longest electric power blackout in US history Members of the 375th Medical Groups and a US Transportation Command manpower team, part of a US Air Force En Route Patient Staging System team, transport a patient during Hurricane Maria relief efforts to a waiting aircraft after arriving at Henry E Rohlsen Airport, near Christiansted in St Croix, US Virgin Islands on Sept 23, 17



Why Hurricane Maria Left Puerto Rico Completely Without Power The Verge



Hurricane Maria Makes Landfall On Puerto Rico Youtube
On September , an eyewall replacement cycle weakened Maria to a highend Category 4 hurricane by the time it struck Puerto Rico Passing north of the Bahamas, Maria gradually degraded and weakened, swinging eastward over the open Atlantic and dissipating by October 20230 Category 5 Hurricane Lane Seen From Space 216 Views 0519 Maria is a Category 5 Hurricane Monster & Jose is stationary off the East Coast Estimating Maria's Rainfall Rates from Space NASA's Integrated MultisatellitE Retrievals for GPM or IMERG, which is a NASA satellite rainfall product, estimated on Oct 2 at 430 am EDT (00 UTC), Hurricane Maria was generating as much as 50 mm (2 inches) of rain in the eyewall, ringing around the eye



Saturn



Plos One Satellite Based Assessment Of Electricity Restoration Efforts In Puerto Rico After Hurricane Maria
NASA Measures Hurricane Maria's Torrential Rainfall, Sees Eye Reopen From Sept 17 to early Sept 21, 17 NASA's IMERG estimated that rainfall totals greater than 10 inches (254 mm) were common Sept 19 Category 5 Hurricane Maria Seen From Space NOAA's GOES13 satellite captured Maria intensify from a Category 3 to Category 5 hurricane on Sept 18, 17 A number of satellites are keeping tabs on Hurricane Maria as the dangerous storm churns its way through the Caribbean



Esa European Space Agency Hurricane Maria This Morning Even From Here It Takes Up All The Horizon Stay Safe Our Thoughts Are With You Says Esa Astronaut Paolo Nespoli See



Maria Strengthens To Category 1 Hurricane Cnn Video
Florida may hold 2 salestax holidays for hurricane supplies next year Advertisement Advertisement This year, a Hurricane Maria as Seen From Space Shows Path to Puerto Rico, USA After brewing in the Caribbean over the weekend, Hurricane Maria gained Category 3 status and a swirling eye on Monday As Maria GPM's observations revealed a thunderstorm cell inside Maria that reached up into the stratosphere On Sept 18, 17, the JAXA/NASA Global Precipitation Measurement satellite saw a



Dive Into A 360 View Of Hurricane Maria Nasa



Nhc Maria Forecast To Become Major Hurricane As It Moves Near Leeward Islands Space Coast Daily
Cocohaus, a coworking space in Puerto Rico, had been open five months when Hurricane Maria hit Founder Mariangie Rosas discusses at length how her space became a refuge and a place for connection and support, and reflects on how San Juan's emerging entrepreneurial scene is helping her space, and the island, to rebuildHurricane Maria Melbourne Beach and even as far north as Playalinda Beach in Titusville, according to several wellrespected surfing forecast websites Pier and Surf Forum Haven't seen any posts about Playa Linda (Titusville) recently so I decided to take my new wife there for a morning of Surf Report ARECIBO, Puerto Rico, Nov 29 (UPI) The world's most powerful radio space telescope, which was damaged by Hurricane Maria two years ago, is being repaired slowly under new management determined



Puerto Rico From Space Before Hurricane Maria September 17 And After Bioluminescent Bay Puerto Rico Puerto Rico Puerto



Inside Hurricane Maria In 360 Youtube
A combination of NOAA satellite images taken at night shows Puerto Rico in July, top, and on Sept 24, 17, after Hurricane Maria knocked out the island's power grid With winds of 155 miles per hour, Hurricane Maria devastated the island of Puerto Rico Sept The eye of the storm passed over Arecibo Observatory, which is operated and managed for theCategory 5 Hurricane Maria Seen From Space Post your comment Sign in or sign up to post comments Comments Be the first to comment Related / Popular;



Views Of Hurricane Maria From The International Space Station The Storm Looks Massive Time Youtube



Blackout What Darkness Illuminated In Puerto Rico
Estimating Maria's Rainfall Rates from Space NASA's Integrated MultisatellitE Retrievals for GPM or IMERG, which is a NASA satellite rainfall product, estimated on October 2 at 430 am EDT (00 UTC), Hurricane Maria was generating as much as 50 mm (2 inches) of rain in the eyewall, ringing around the eye Hurricane Maria peaked as a massive Category 5 storm as it rolled across the Caribbean in September 17 See photos of Hurricane Maria from spaceHurricane Maria made its first landfall on the Caribbean island nation of Dominica on Monday, September 18, as a Category 5 storm with winds topping 160 mph the strongest hurricane



Satellite Animation Shows The End Of Maria And Lee Nasa



Stunning View Of Hurricane Maria From Space Youtube
Maria, which struck the island as a Category 4 hurricane in September 17, killed an estimated 2,975 people within the American commonwealth Residents struggled to access clean water, and some NOAA Satellites captured images of Puerto Rico after Hurricane Maria knocked out the power grid and left millions without electricity Recent News NOAA's GOEST Satellite Arrives in Florida Ahead of 22 Launch NOAA Releases RFI for Space Weather Commercial Pilot NOAA GeoXO Program Formally InitiatedHurricane Maria made landfall in Puerto Rico as a powerful category 4 hurricane on September with winds over 100 mph, and more than 30 inches of rain fell A year later, the full extent of the damage in Puerto Rico has still not been determined, however one study determined that 2,975 deaths can be directly attributed to Maria



Hurricane Maria Lashes Puerto Rico



Geostorm Hurricane Conspiracy Theory Claims The U S Government Controls Weather
While Hurricane Maria slammed Puerto Rico with pounding rainfall and dangerously strong winds yesterday (Sept ), astronauts at the International Space Station experienced the storm from a farStunning view of Hurricane Maria from space Incredible images from the International Space Station and NOAA satellite showing the immense size and power of It's been almost a year since Hurricane Maria slammed into Puerto Rico, battering the US territory with heavy rain, flash floods and winds



Satellite Photos Show Puerto Rico Went Dark After Hurricane Maria



In Photos Hurricane Maria Seen From Space Live Science



Iconic Space Observatory In Puerto Rico Recovers After Hurricane Maria Upi Com



Esa Hurricane Maria



Space Hurricane Observed Above The North Pole c Science Focus Magazine



Nasa Provides New Look At Puerto Rico Post Hu Eurekalert



Astronaut S Dramatic Photos Show Hurricane Maria Raging Over Puerto Rico Space



Before And After Best Satellite Images Of The Decade Tell Unique Stories Kutv



Maximum Wind Gusts Measure In Puerto Rico Noaa 18b Download Scientific Diagram



Puerto Rican Town With Viral S O S Sign After Hurricane Maria Has New Slogan Cbs News



Space Station Captures Chilling Hurricane Maria Footage On Its Fearsome Path To Puerto Rico National Globalnews Ca



Hurricane Maria 139e2586 Credits Esa Nasa Paolo Nespoli Flickr



From Maria To Dorian Are Hurricanes Becoming More Devastating Than Ever Science Tech News Sky News



Damage To Rocket In Park Of Science After Hurricane Maria Bayamon Puerto Rico Editorial Image Image Of Space Hurricane



Satellite Animation Shows The End Of Maria And Lee Nasa



Hurricane Maria Slams Puerto Rico S Arecibo Observatory Space



Puerto Rico From Space Nasa Videos Show Aftermath Of Hurricane Maria Space



Raytheon Designs Prototype For Space Force Weather Satellite Spacenews



Nasa Video Shows Hurricane Maria From Space On Iss Time



Esa Hurricane Maria



Puerto Rico One Year After Hurricane Maria Before And After Photos



Hurricane Maria See The Latest Videos From Space Space



Space Hurricane Observed In The Earth S Upper Atmosphere Physics World



Satellite Animation Shows The End Of Maria And Lee Nasa



Nasa Tracking Hurricane Maria On Bahamas Approach



Hurricane Maria Makes Landfall In Puerto Rico Cimss Satellite Blog



Hurricane Maria Dominica Aerial Pictures Show Total Destruction



Hurricane Maria Forecast To Pose A Potentially Serious Threat To Lesser Antilles Puerto Rico And Virgin Islands The Weather Channel Articles From The Weather Channel Weather Com



Position Statement Hurricane Maria Travelsafe Travel Professional News



Hurricane Maria Memorial Alepreda Architecture



Caribbean Fish Love Catastrophic Hurricanes



Nasa Images Of Hurricanes From Space



More Havoc As Category 3 Maria Plows Northward Weather Underground



Category 5 Hurricane Maria Seen From Space Youtube



Nasa Images Of Hurricanes From Space



Nasa Images Of Hurricanes From Space



Nasa Images Of Hurricanes From Space



Nasa Earth En Twitter From Space We Can Identify Likely Damage From Hurricanemaria In Puerto Rico To Help Disaster Response T Co Ixro97yanw T Co Ajecdys5wa Twitter



Puerto Rico Has Not Recovered From Hurricane Maria



Nasa Images Of Hurricanes From Space



Puerto Rico Satellite Images Show Power Loss From Maria Time



Maria Batters Local Woman S Hometown



Hurricane Maria Path What We Know Now



Hurricane Maria



3



Download Wallpapers Hurricane Maria View From Space Nasa Atlantic Tropical Cyclone For Desktop Free Pictures For Desktop Free



Hurricane Maria Wikipedia



Satellite Images Of Puerto Rico Before After Hurricane Maria Put That Massive Power Outage Into Perspective



Hurricane Maria Images Stock Photos Vectors Shutterstock



Satellites Tracking Powerful Hurricane Maria From Space Space



Space Station Captures Chilling Hurricane Maria Footage On Its Fearsome Path To Puerto Rico National Globalnews Ca



Monica Puig Looking From Space Hurricane Maria May Have Facebook



Watch Hurricane Maria Move Over The Caribbean From The International Space Station Independent Ie



Fema Was Sorely Unprepared For Puerto Rico Hurricane Report Says The New York Times



Nasa Tracking Hurricane Maria On Bahamas Approach



Hurricane Maria From The Iss September 17 Stock Image C037 8109 Science Photo Library



Hurricane Maria Satellite High Resolution Stock Photography And Images Alamy



Hurricane Maria A Look Back At The Storm



Nasa S Black Marble Maps Puerto Rico S Energy Use After Hurricane Maria Youtube



Hurricane Maria Makes Landfall In Puerto Rico Cimss Satellite Blog



Space Hurricane Observed Above The North Pole c Science Focus Magazine



Hurricane Maria Devastates Dominica On Path To Puerto Rico Agronoticias Agriculture News From Latin America And The Caribbean Prodovolstvennaya I Selskohozyajstvennaya Organizaciya Obedinennyh Nacij



Satellite Animation Shows The End Of Maria And Lee Nasa



Nasa Sees Maria Intensify Into A Major Hurricane This Visi Flickr



Hurricane



Nasa Earth Di Twitter Astronauts Get A Front Row Look At Hurricanes From The Space Station Like In This Picture Taken Of Hurricane Florence Last Year T Co On1dcmfzwj



Assessing Hurricane Maria Damage National Geographic Society



Extremely Dangerous Hurricane Maria Makes Landfall In Puerto Rico Live Science



Hurricane Maria Makes Landfall In Puerto Rico Cimss Satellite Blog



Nasa Watches Maria Intensify From Space Cnn Video



3



Satellite Photos Highlight Dire Situation In Puerto Rico After Devastation From Hurricane Maria Ktla



Intense String Of Hurricanes Seen From Space Youtube



Eight Months After Hurricane Maria The Human Toll Is Still Unclear The Economist



Space Station Cameras Reveal Sinister Size Shape Of Hurricane Maria



Satellites Tracking Powerful Hurricane Maria From Space Space



Hurricane Maria Aftermath International Space Station Releases Puerto Rico Pictures Business Economy News Wionews Com



Gms Intense String Of Hurricanes Seen From Space



New York Unveils Powerful Hurricane Maria Memorial



Nasa Provides New Look At Puerto Rico Post Hurricane Maria Nasa



In Photos Hurricane Maria Seen From Space Space



Gms Inside Hurricane Maria In 360
コメント
コメントを投稿